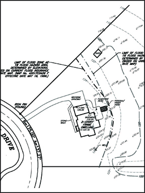
Location and Topographic Surveys

A location survey can be as simple as the location of a house or other building on a property in relation to the property boundary. It can also be all inclusive of visible features including trees, shrubs, and utilities.

Topograhic Surveys obtain elevations of the ground in order to show slopes with contour lines.

Ask4Survey-Location-and-Topographic-Surveys